Overview
- Updated On:
- February 28, 2026
- 900.00 ft2
Property Description
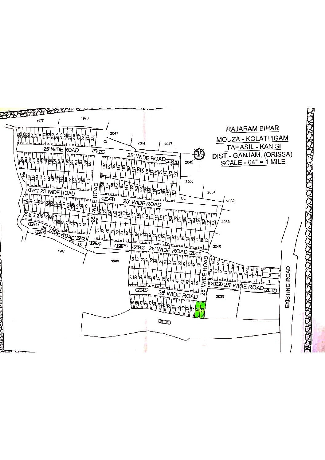
Welcome to a powerful investment opportunity at Dumdumi, Brahmapur, Odisha – a fast-growing location with strong future appreciation potential 📈✨
Presenting Premium General Category Investment Plots designed for smart investors who understand the value of land banking in developing corridors 🚀
✨ Project Highlights:
📐 Plot Dimension: 15×60 – Ideal for Future Residential or Long-Term Investment
🛣️ 25 ft Wide Main Road & 25 ft Wide Branch Road – Smooth & Spacious Access
🧭 North & South Facing Plots Available
💧 1.5 ft Wide Drainage System
⚡ Electric Pole Available
📄 Jamipata Approved
📝 Ready for Immediate Registration
📍 Prime Location Advantage:
🚗 Just 5.5 KM from NH-16 – Strong Highway Connectivity
🏭 Close to Industrial Area & Factories
🎓 Near IISER College
🛕 Surrounded by Temples & Peaceful Village Environment
This is not just a plot.
This is a strategic asset positioned in a high-growth belt of Brahmapur 💰
Land near education hubs + industrial zones = High Future Returns 📊🔥
🔐 Limited plots available for serious investors.
📞 Call Now: +91-79929 60355
📲 Book your site visit today & secure your premium investment opportunity!
✨ Invest Smart Today. Build Wealth Tomorrow.
DumdumiPlots #BrahmapurRealEstate #OdishaProperty #InvestmentPlotsIndia #LandForInvestment #PlotsNearNH16 #JamipataApproved #ReadyForRegistration #PremiumPlotsOdisha #GanjamRealEstate #IndustrialAreaProperty #IISERNearby #NorthFacingPlot #SmartLandInvestment #SattvicSolutions



